NEWS

Geschichte

Linien und Netz

Fahrzeuge

Projekte

Dies & Das

Stadtbahn Hannover

Linien & Netz

Linie D

Umbauten im Rahmen "Projekt ZEHN SIEBZEHN"

Nach oben

Anbei einige Pläne der Umbaumaßnahmen, wobei aktuell (Sept. 2017) nur der Teil vom Goetheplatz bis zum Raschplatz verwirklicht wurde. Nur ein kleiner Teil der Gleise wird auf separatem Gleiskörper geplant (grün hinterlegter Bereich auf den nachfolgenden Zeichnungen).

Bereich Station Glocksee



Bereich Braunstraße



Bereich Station Goetheplatz



Bereich Goethestraße




Blick auf die Leinebrücke Richtung Westen


Blick in die Goethestraße Richtung Steintor

Bereich Station Steintor




Blick auf den Steintorplatz in Höhe der neuen oberirdischen Station


Blick auf den zu bauenden Fahrstuhlschacht zum C-Tunnel

Bereich Kurt-Schumacher-Str.




Blick von der ehem. Haltestelle in Richtung Anzeiger-Hochhaus


Blick auf die Strecke von der Herschelstr. in Richtung Steintor

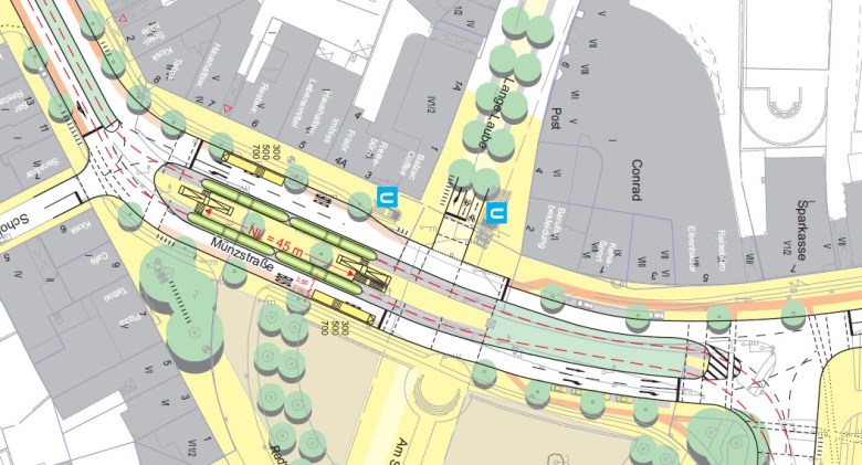
Bereich Station Hauptbahnhof/Rosenstraße




Blick auf die neue Station Hauptbahnhof/Rosenstraße vor der Ernst-August-Galerie


Blick auf die Kurve von der Station Hauptbahnhof/Rosenstr. zum Bahnhof...


.. und auf die anschließende Kurve zum Posttunnel


Ausbetonieren der Schienenzwischenräume


Blick auf die Gleise im Posttunnel

Bereich Station Hauptbahnhof/Raschplatz




Blick von der Kreuzung Rundestr./Lister Meile in Richtung Endpunkt


Blick auf die neue Station Hauptbahnhof/Raschplatz vor der Spielbank

alle Pläne wurden veröffentlicht von der LH Hannover am 6.3.2014





zurück zur:

weiter mit:

© 2001 Andreas Kowollik, Region Hannover | Seitenanfang | Home | Hinweis | Kontakt | Impressum/Datenschutz | Stand: 30. Jul 2025